The Idiot’s Guide to Surviving a Natural Disaster
Some would say we are idiots for choosing to live in the most dangerous land in the world, where nature’s delights, from screaming winds to hot rocks, and mankind’s lunacy, from murder to motorized mayhem, make it more fatal in the Philippines.
Nature’s delights are typhoons and tropical storms that ram wind and water at our homes and businesses, the tectonic plate we ride like cowboys on a bucking bronc as the Philippines slip-slides toward Los Angeles, and that blasted Ring of Fire, belching lava and stones and poisonous gray gas and ash across the gorgeous green landscape.
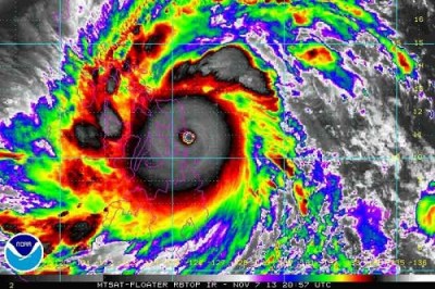
We Biliraners had to deal with one of those creatures recently, code-named Yolanda, a monster typhoon that ripped through the Visayas like a very grim reaper, with over 6,000 dead and more roofs cast to the wind than birds in the sky on that particular day.
What did we learn?
We learned that dynastic barons of Tacloban fiddled over the years and left the city totally unprepared. Plus, said barons were too dense to comprehend a fairly simple typhoon concept called storm surge. The City apparently summoned 2,000 hill folk down the mountain to the safety of a civic evacuation center located just a few paces from the crashing, cresting ocean. Most died in the crush of sea water. But the tragedy there was really President Aquino’s fault, if I read the Mayor’s tear-streaked senatorial complaint correctly.
- Lesson 1. Philippine civic leaders ought to get accountable. They ought to study what wind and water do so they never again evacuate people to their deaths. Then they should get busy putting stringent zoning and building codes in place, building sea-walls and river levees, and getting homes off the slippery slopes.
- Lesson 2. Climate change is real. It is tangible. It will get worse. It is about to become a way of life. We should get better at dealing with it.
Anyone who has driven past that dirty brown snake of a river that plows through Palo and Tacloban knows it is a disaster waiting to happen. So only NOW we understand? Slow learners, eh?
Our local gymnasium in Naval, Biliran would make an exceptionally fine evacuation center except the contractor had to cut costs to afford to pay all the kickbacks to the government officials controlling permits. So rather than a strong roof, he put up cheap tin, with small steel trusses, and the sheets flew through Yolanda’s crashing winds like so many giant guillotine blades.
- Lesson 3: Corruption and the trade of favors, including the selling of a vote, has a price. We just don’t see it right away. The corrupt gain, we lose. In very tangible, real ways.
Here locally, we knew a monster storm was coming several days ahead of time. And people who were clearly not idiots climbed up into their trees and started hacking down the limbs that threatened their houses, packing outdoor things indoors, and tying some things down. This storm was a beaut, loud and hard and fast moving, and things flew horizontally. Trees went flat to the ground but shed some small limbs which became arrows whistling. Tin from this roof or that ripped through the air and clattered about, cymbals to God’s orchestral frenzy.
- Lesson 4. Cut it down, tie it down, and stay on the leeward side of hollow-block walls. Even big limbs launch sideways, so don’t be shy at chopping even those trees some distance from the house.
Our neighbors are clearly not idiots, either. They lost their tin roof and are now replacing it with a flat cement roof. We’ll do the same thing if we lose our roof in a future storm. A new Philippine architectural style is coming: on solid ground, hunkered down, climate-change ready and tin-less.
- Lesson 5. If you are building a new home, make that roof heavy. The aerodynamics of a peaked tin roof are much like that of an airplane wing, and at 250 KPH, you are approaching takeoff.
- Lesson 6. Get serious about planning for storms, quakes and volcanic eruptions.
Typhoons have big winds and, near the center, they circle as the storm passes. Yolanda hit us first from the west then circled around to the heaviest blast from the southeast. At the height of the typhoon, a period lasting about an hour, the roaring shriek was like a dozen jet liners revving up their engines right next door. Every thing is noise and vibrations, a window shattering, tin rattling, and rain thundering on the roof. One is inclined to shriek back.
We stayed busy mopping water that was being drilled high-pressure through the window and roof seams. That kept us from going crazy with impotence and noise. We thought we had lost the roof because of all the water pouring down through the ceiling. But the water was simply being pressure-blasted UP the roof and under the tin that capped the peak. A bevy of fire hoses couldn’t have matched that deluge.
- Lesson 7. Forget gravity at 250KPH. The dominant force is sideways. You can’t run if your house flies off. You can only hide. Which is what a lot of people were doing during Yolanda.
Next time we will have some 3/4 inch plywood panels in the garage, along with some cement nails, in the event we lose a full window panel. One of our glass doors almost popped out from the pressure. We will also have buckets and towels at the ready.
Actually, we did a reasonably good job of preparing for Yolanda. We stocked up on bottled water, reservoir water, and food – the pantry was full and we had two bags of rice in the storage closet. Candles and flashlights were ready. Vehicles were gassed up, cell phone batteries were charged, and we withdrew some cash from the bank. Outdoor chairs and gear were crammed into the garage. We tied down or put sandbags on anything that might blow away.
- Lesson 8: Have a checklist so you don’t forget anything. We need to get a decent first aid kit. We missed that one. We do have a generator now, so are better set for the next event.
What we were totally unprepared for was the aftermath of the storm. And I remain perplexed about that.
The aftermath is one of grim realization that we now are isolated and without services. It is strange. It is quiet, peaceful at first but building in anxiety with each passing day. No fuel, no electricity, no cell service, no internet, no banks, no money transfer services. The radio works so we can get news of looting and riots next door in Tacloban. Will we get that, too?
It was getting stressful. We had a major robbery (a grocery store) and a rumor swept through that three men were going house to house, knocking on doors, robbing and raping.
But most people just got busy with the clean-up and leaned on friends and family if they had to. We made a number of small denomination loans as ATM’s were down and banks were shuttered. A lot of people evacuated to Cebu by ferry and presumably many went on to Manila. Food was also scarce in Cebu.
The aftermath was troublesome because each day that passes brings a bigger threat of violence. I was wishing for weapons and a small army. We had not stocked up on arms or security staff.
I found the attitude of the large corporations that provide lifeline services to be very lackadaisical, very passive. All it took was one gasoline truck delivery by Petron to change the whole attitude of the community from negative to positive, from concerned to optimistic. Why did it take seven days for Petron to send that truck? Why was there no cell service for two weeks? No bank services for 10 days, other than passbook withdrawals at PNB? No internet for two months? There was no sense of corporations riding to the rescue after this huge storm. They were hanging back.
- Lesson 9: Consider what you will do for security if the storm closes roads and shuts down all services. Consider it very seriously. Security turned out to be our biggest concern from this storm. If the sole bridge to the island had been taken out . . . I dread to think . . . we’d probably be in Cebu, too.
- Lesson 10: Advocate for reconfiguration of the national disaster response effort to better motivate large companies that provide lifeline services to come to the rescue. Recovery is best achieved by returning markets to normal absolutely as fast as possible. (See prior blog: A New Model for Disaster Recovery: “The Lifeline Services Act”)
Our electricity was plugged back in 10 weeks after the storm. Electrical workers, especially the pole-climbers who work even during rain and wind, deserve the highest praise. The storm tossed poles across the countryside like they were little matchsticks.
The executives at Petron, Shell, Metrobank, Land Bank, Smart and Globe deserve a big “phlbbbbbbt”. They played it safe.
The destruction in Leyte is absolutely mind-boggling.
- Lesson 11: Don’t think it won’t happen to you.
Addendum:
Reader Mariano posed a number of pertinent questions a few weeks after the storm. I neglected to respond, and this might be a good place to do that:
Here is what I wanted to know from Joe:
1. Why he did not run to Manila or safer provinces away from Yolanda’s path … Our house is strong and who knows where the storm will have an effect, or how it will affect transportation. We don’t have a place to stay in Manila. We never even thought about leaving.
2. What did he do when Yolanda hit … Mopped water.
3. Is Joe’s house obliterated …. ? No. We lost three window panes and a plywood panel from under the eave. The attic is now dried out.
4. Where did they get food from …. ? We stocked up in advance. Grocery markets rationed after the storm: limit of 3 for each item. Shelves did get bare, so it was a bit of a worry, but not major. My wife stood in the lines, sacrificing herself for the cause.
5. Did they evac to gyms or churches or schools …. ? As far as I know, there were no mandated evacuations in Naval, although some wise residents moved voluntarily from their wood homes to neighboring cement homes.
6. How does it feel not to have internet for months … ? (I’d go crazy) I went crazy, but the shock treatments are helping . . .
7. Did you see American soldiers in your area ….? If you did, did you approach them …. ? No American soldiers here. I would give a salute if I saw any.
8. Did you line up for relief goods …. ? No. We aren’t on the needs list of our barangay.
9. pictures, pictures, please …… None. I have a hard time photographing other people’s misery. I did take some video of our miserable yard with only the bermuda grass left standing.
10. Is 6,000 deaths believable …. ? I’m surprised it was not more. I drove to Ormoc, Leyte, a couple of weeks after the storm. Whole villages were wiped out, with nothing left but foundations and rubble. People were (are?) living under tarps and scraps of tin and wood. Kids lined the highway begging for food. Schools were windowless, roofless hulks. A whole mountainside of coconut trees was laid flat, 80% uprooted. Miles and miles of destruction. And more miles. It was the longest trip of my life. Ormoc was a congested mess. People were lined 50 deep at all the money transfer shops and at Mercury drug. No electricity. Rationed gas. Supermarket and mall shuttered. I turned around and drove home.
11. Is 10,000 deaths a possibility …. ? Oh, yes. In Manila or larger cities, much more. Tacloban only has 250,000 residents. That means about 2% of the population was killed.
Comments
34 Responses to “The Idiot’s Guide to Surviving a Natural Disaster”Trackbacks
Check out what others are saying...-
[…] The Idiot’s Guide to Surviving a Natural Disaster […]
Nice read. Took a 5-day course with DOH doctors for hospital preparedness for emergencies (HOPE) last month.
I like the part on the internet thing that was asked of you.
Thanks, peejay. That sounds like an interesting and valuable course. That was one area I think we were not ready for: injuries. Our local hospital is a second tier community hospital and is not prepared either. There is no blood bank or sophisticated equipment and treatments. So people would mostly have to fend for themselves.
The internet shutdown really bugged me. I think Globe and Smart have no idea how ingrained the internet is in people’s lives. I could not do banking, pay credit card bills or converse with my family in the US. Or blog!! Money-transfer services could not get money into the community that was trying to pour in from family and compassionate people. The Philippine Post Office in Naval has received no inbound mail for almost three months now, so important correspondence (e.g., social security notices) has not been delivered. DHL has a package for me and, instead of delivering it, called and asked me to pick it up in Ormoc, two hours away. The fundamental mindset seems to be lacking any sense of urgency or need to do more than what is easy.
Joe,
Im buying something called a Lifestraw, a water purification device that can handle even water you find in the streets. Very handy in situations like this.
That is an excellent idea, andrew. I’ve added it to my “to get” list, right behind first aid kit.
Reblogged this on .
Great eye-opening account of what happened Joe. Nothing compares to being actually there and living through it. I’m just so tired of these “know-it-all” bloggers who are suddenly typhoon and disaster experts blaming Noynoy and second guessing his every move.
Also, I like how to take the lessons from tragedy and make it a positive learning experience (unlike some of these “know-it-all” bloggers who do nothing but blame and offer no solutions but “impeach Noynoy”). We need more constructive people like you to make this country a better a place. Mabuhay is Joe America!
Thanks, PP. Good wishes to you, too. I agree that self-accountability is a great place to start.
“The aftermath was troublesome because each day that passes brings a bigger threat of violence. I was wishing for weapons and a small army. We had not stocked up on arms or security staff.”
You reiterated the need for security in Lesson #9 too. I guess you were terrified about looters primarily. Where there law enforcement officers on duty in your area after the storm? Can you get a license for a firearm there?
You did not talk about the local first responders. What kind of disaster management protocols are in place?
Glad you and your family survived all the hardships Yolanda wrought. It took us a while to get the hurricane preparation and recovery drills down pat, too. Pretty soon, you all will be old hands at handling mother nature’s tantrums like we are.
Yes, the main worry was large bands of desperate people looting. Police came out after the robbery as a show of presence, then retreated back to a low profile which I agree with. The low profile was an expression of confidence in the civility of the people of Naval, and they proved that confidence was warranted. People just coped. Now hardware owners are making a ton of money. haha
My wife can get a firearm license I think. I cannot, as a foreigner. We must defend ourselves with machetes and dogs and being 6’4″ of snarling tough guy. But a more expedient solution is to tap the arsenal of unregistered weapons held in the Philippine tradition by some of my wife’s relatives.
I don’t know about first responders. We just hunkered down at our place to conserve gasoline and so did not get out and about. Downtown handled the storm well so I’m thinking nobody had to do too much here. My son’s school was back in session on Monday (the storm was Friday). However, we didn’t start sending him to school until two weeks, when gasoline came off of rationing (we live outside of town a good distance). The local barangay had a couple of distributions of rice then that stopped. And the city hired a lot of people for two weeks to clean-up the roads as a “do work, get relief” project. A costly but valued program.
I feel a lot more confident about handling the next storm. For sure, that one was a good trainer. ahahahahaha
Lesson 4. Cut it down, tie it down, and stay on the leeward side of hollow-block walls. Even big limbs launch sideways, so don’t be shy at chopping even those trees some distance from the house.
There was a strong typhoon that hit my parents home in Las Pinas several years ago. We had huge trees around the house (you need at least 3 people to hug the entire tree trunk). It had a lot of branches and leaves. We didn’t cut the branches since it never fell from the previous typhoons. Two trees fell and hit my parents house. One destroyed the wall made of solid cement and the other destroyed the living room’s roof. We had no chainsaw and the village’s chainsaw was used to cut down the trees that blocked the roads. I had to hack, and saw the tree manually. Needless to say, my hands lost most of its skin. Oh well, lesson learned.
Gadzooks. I suspect you have just encouraged a lot of people to consider hacking down trees at the next storm.
Okay, I did a little housekeeping here. The rules for participating in the blog are basically to stay on topic and be respectful of others. The honor system is generally used. It relies upon people taking pride in their own discipline and ability to hold to high values. When people set out intentionally to fail in that regard, I reserve the right to clean up and impose the discipline.
Very good read and I hope a lot of people will read it. I would really hope many or most of the voting populace will read and learn from what you wrote. Yes and it is a RESOUNDING YES, Filipinos including our leaders should learn to own up to their faults and learn from it. Filipinos are very forgiving people but it should not be just forgive … learn from it. And for those asking for forgiveness … please do not do it again. Learn from the mistakes … Unfortunately most of the Filipino politicians ask for forgiveness for popularity and given the chance they will do it again or do worse that what they were forgiven for. What kind of repentance is that?
We the voters should also learn that it was our fault why these kinds of creatures were elected into office … WE PUT THEM THERE. WE PUT THEIR NAMES IN OUR BALLOTS OR WE ALLOWED CHEATING TO HAPPEN.
Mr. Joe the lessons that you shared should also be a must read and understood by everyone. The Philippines have all kinds of disasters and the lessons that you shared are very important most especially because you were in the middle of one of the strongest typhoon that hit land and thanks God you and your family survived it!!! You have very important mission and thank you for doing them. CONTINUE SHARING YOUR THOUGHTS!
Good Saturday morning, ella (here at least). I’ll keep writing if you’ll keep commenting. 🙂
Typhoon Yolanda brought out the best and the worst in people. While we saw many tirelessly and quietly helping, we saw an incredible amount of bickering and finger pointing and fault finding.
As someone who was directly affected by the typhoon, you expect a lot of complaints. Tragedy is supposed to make us stronger, not weaker or divided. How do we make Yolanda work for us? By learning lessons and from that lessons we will be much more prepared when this happens again in the future. We become weak if we continue the finger pointing and this ‘woe is me’ attitude and not find solutions.
Keep it up Joe!
That’s true, Adrian. That was discouraging that in the midst of such trouble, people are posturing for personal publicity points and power.
I think most will be stronger for having dealt with Yolanda. I know we are now smarter. Superb point.
You should publish those lessons in book form hahaha!
Lesson 11:
I attended a Project NOAH seminar and learned that Quezon City, where I live, is like the catch basin of flood water from Rizal province; I’m seriously considering to include moving to the boundary between Makati and Taguig (Bonifacio Global City or a nearby barangay) in my life plans. The lecturer says that the area is the safest in the metro.
Oh I forgot! The ruling class has bought everything in this country from milk baths to safety during storms….
Good thing 1: Taguig has a huge sewer that drains and divert flood water. The city follows laws regarding building and zoning rules. There’s still a little glimmer of hope especially in local government units LGUs……
Good thing 2: I observe my fellow attendees and most of them seem more concerned on disaster preparedness. Imagine Filipinos listening to serious science-related lecture. Death and destruction do change people’s mindset….
Problem 1: On the aftermath and violence and robbery, I’m torn between universal human survival instinct or the stereotyped Eastern Visayan’s barbaric attitude as the reason. Joe, think about googling the word “Waray Upay”
Problem 2: Lifeline services– those companies should understand that they are in public utility sector, not just profit-making. No apologies and excuses… It isn’t like they are fast foods…
“Why did it take seven days for Petron to send that truck? Why was there no cell service for two weeks? No bank services for 10 days, other than passbook withdrawals at PNB?”
*Phlbbbbbbt indeed.
*I have to google that word to understand it hehehe.
P.S. Good to see your blog on full force again.
The Phlbbbbbbt expression is best rendered by inhaling mightily, sticking out the tongue, and exhaling mightily. It is akin to throwing overripe tomatoes. Insulting, but fairly harmless otherwise.
You have some good lessons yourself, especially the observation that people are more keenly aware of the need to be prepared. My wife is napping and I could not turn up a definition of “waray upay”. I hope it is stern without being overly violent and bloody.
Awareness is one thing; action is a different story.
But I think Warays/ Eastern Visayans are nice, fun-loving people under normal conditions.
Ah, yes. Thanks. Yes we are fun loving tuba swillers and all around good people.
Just sent you an email, Joe.
Thanks for the background. I responded.
Joe, for your information and that of others who may be interested in setting up local disaster preparations I recommend Recovers.org. The organization is basically a couple of kids who experienced a tornado in their hometown and led the local disaster response, then expanded their knowledge and refined their system by helping in disasters in other locations. Their program is instruction in disaster preparation and software for, among other things, responding to offers of help. As they note, 50% of offers of private aid come in the first 7 days and then interest rapidly fades. In order to take advantage of those offers the locality needs to be prepared with a system of response. For example, using their software, Tacloban would have set up a website TaclobanRecovers.org that would allow local residents to record and respond to offers of aid so that these could be followed up when the time came to take advantage of them. And it would have enabled them to specify what was first priority, which was as I recall initially drinking water, food, medicines and medical supplies, doctors and nurses and temporary hospitals, generators and fuel, and shortly thereafter security personnel to maintain order, (Although maybe if they’d had the first items they would not have needed the last.] Toys, clothing, tools and construction tools are all appropriate and necessary at the right time but sequencing is probably best controlled by locals. Recovers.org provides a plug and play set up that locals interested in disaster preparation and response can utilize to create an effective and efficient organization.
That sounds like a very constructive enterprise, and one that disaster people should tap. The problem we would have had was that we had no internet access for two months. The Philippine government needs to express to the private internet providers (mainly Smart and Globe) that their services are LIFELINES to recovery, and to start working on fielding transportable emergency transmitters.
Agreed about communications problems being a top concern. I was wondering if satellite phones would be a viable solution but I still can’t work a smart phone and have no business proposing solutions to situations I know so little about. And maybe a hand- or bicycle-powered generators to power up batteries.
I like that idea better than my wife’s “rock salt and used cooking oil lantern” which smokes up the joint and threatens to burn the house down. I laid down the law and relegated it to outside use only.
You might want to check out this site: http://us.waka-waka.com
It talks about the waka waka solar light as a non-pollutive alternative to lighting homes during/after disasters and it can also be handy given the erratic energy services in the Philippines.
Thank you, Dee.
“The senator said these can be overcome if the government will take the following actions:
Environmental program audit
Risk-sensitive planning and investment
Strengthening social protection
Advancing economic and business resilience
Promoting community resilience
“As a fundamental development strategy, building resilience would help our government sustain the country’s socio-economic gains, make a difference in poverty reduction, and eventually ensure the achievement of sustainable development goals,” Legarda said.”
See: http://www.rappler.com/move-ph/48852-philippines-learn-past-disasters
The final conclusion is typical Filipino, very generic, totally un-actionable.
What are objectives, milestones, resources needed, who is responsible, when… The problem is lack of implementation, please don’t make new generic plans but specific implementation plans. Compare with Joeam, giving us very actionable points.
Yes, I read that and turned away. It meant nothing to me. Big words strung together with no connection to anything. We don’t need no stinkin’ resilience in our community. The people are plenty resilient, they just need money. Which they can’t get because there is no internet and no money transfer service.
Maybe this Senator can’t even make a project time frame. I remember Joe’s intertia lessons..
Good advice… Nuff said.
Thanks, Jet. A crisp salute to ye . . .